NO. 1 CANAL DE NOTICIAS DE MICHOACÁN
¿YA ERES MIEMBRO?, INICIA SESIÓN ¡SUSCRÍBETE!
Destacadas

Destacadas

NOTICIAS DE Destacadas

Defiende Bugarini su criterio como presidenta del Congreso de Michoacán de garantizar a Conrado Paz ser de una bancada

Para garantizar a Conrado Paz ser parte de una bancada, defiende Giulianna Bugarini su criterio aplicado como presidenta del Congreso de Michoacán. Morelia, Michoacán.- La diputada Giulianna Bugarini Torres defendió su criterio como presidenta de la Mesa Directiva del Congreso de Michoacán, de garantizar al legislador independiente Conrado Paz Torres, el pertenecer a una bancada […] La entrada Defiende Bugarini su criterio como presidenta del Congreso de Michoacán de garantizar a Conrado Paz ser de una bancada se publicó primero en Contramuro.

Hombre as3sinad0 en Arko San Pedro también iba armado

Morelia, Michoacán Se confirma que el hombre asesinado a balazos en las calles del fraccionamiento Arko San Pedro, portaba una pistola. Se sabe que Ramiro S., de 40 años, tenía el arma de fuego fajada al pantalón, una calibre .9 milímetros, abastecida con 10 cartuchos útiles. También estaba un diablito de carga color azul rey, […]

Segob, en coordinación con alcaldes de Michoacán por alerta de ‘Erick’

Morelia, Michoacán El secretario de Gobierno, Carlos Torres Piña, informó que se mantiene la coordinación con los municipios para trabajar en labores de prevención por la presencia del huracán “Erick” en Michoacán. En entrevista con medios de comunicación, señaló que este martes hubo reunión del Grupo de Inteligencia Operativa para desplegar labores en el estado […]

No podemos actuar en una dinámica de patria o muerte: Brissa Arroyo

Brissa Arroyo aborda la violencia política de género y su decisión de permanecer en el PRD, destacando la importancia del diálogo político. No podemos actuar en una dinámica de patria o muerte, recalcó la diputada Brissa Arroyo Martínez, cuestionada sobre su decisión de mantenerse en la bancada del PRD, luego de renunciar a ésta argumentando […] La entrada No podemos actuar en una dinámica de patria o muerte: Brissa Arroyo se publicó primero en Contramuro.

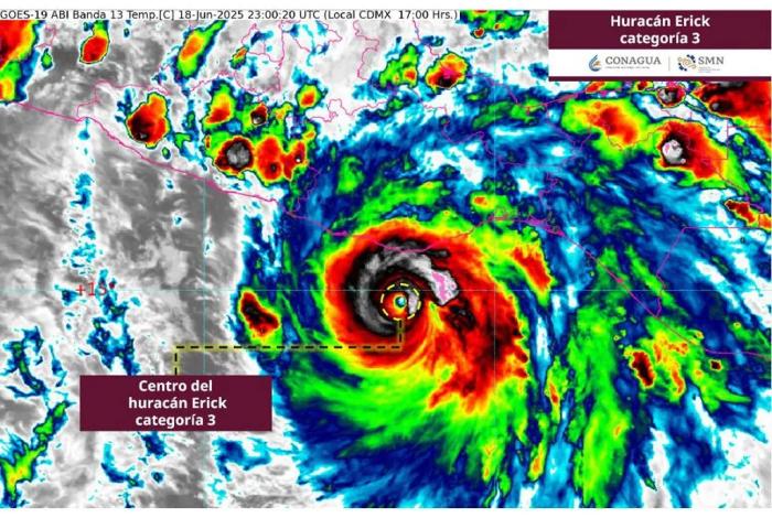
“Peligroso Huracán Erick” evoluciona a categoría 3, tocaría tierra como nivel 4

El huracán Erick, ahora categoría 3, se dirige hacia Oaxaca y Guerrero. Podría alcanzar categoría 4 antes de tocar tierra. Morelia, Michoacán.- Como un “peligroso huracán” calificó la Comisión Nacional del Agua a ‘Erick’, que en las últimas horas evolucionó a categoría 3 en la escala de Saffir Simpson. El reporte íntegro del Servicio Meteorológico […] La entrada “Peligroso Huracán Erick” evoluciona a categoría 3, tocaría tierra como nivel 4 se publicó primero en Contramuro.

Concluye Tena su campaña por nuevo periodo al frente del SUEUM

Morelia, Michoacán Eduardo Tena Flores, secretario general del Sindicato Único de Trabajadores de la Universidad Michoacana (SUEUM), cerró campaña electoral para pedir el voto de los sindicalizados por un periodo más al frente de esa organización. Fue en la facultad de Odontología donde el líder sindical se reunió con un grupo de trabajadores nicolaitas, como […]

Legisladores acusan violación a la Ley por sobrerrepresentación de la bancada del PRD

Por considerar existe una sobrerrepresentación de la bancada del PRD en el Congreso del Estado, legisladores acusan violación a la Ley Morelia, Michoacán.- Legisladores acusan una violación a la Ley Orgánica y de Procedimientos del Congreso del Estado, alegando una sobrerrepresentación de la bancada del PRD en el Congreso de Michoacán. Esto surge a raíz […] La entrada Legisladores acusan violación a la Ley por sobrerrepresentación de la bancada del PRD se publicó primero en Contramuro.

Estructura en club Britania cae sobre vehículos estacionados

Morelia, Michoacán Las lluvias registradas la tarde de este miércoles resultaron en la caída de una estructura de paneles solares sobre automotores aparcados en el estacionamiento del club Britania, en Morelia. De acuerdo con el encargado de despacho de la Comisión Municipal de Seguridad, José Pablo Alarcón Olmedo, alrededor de seis automotores que estaba en […]

‘Erick’ desata compras de pánico en supermercados

Guerrero/Oaxaca Horas antes de que Erick se convirtiera en huracán categoría 2 en la escala Saffir-Simpson, decenas de familias realizaron compras de pánico en supermercados, tiendas de autoservicio y gasolineras de Guerrero y Oaxaca, ante posibles afectaciones del meteoro. La población buscó estar preparada ante una eventual tragedia cuando el fenómeno tocó tierra, como ocurrió […]

EN OTRAS NOTICIAS

Alexis Vega, le da el bicampeonato a Toluca en dramática serie de penales

Alexis Vega asegura el bicampeonato de Toluca al vencer a Tigres 9-8 en una emocionante tanda de pe...

Exitosa Posada Navideña “Noche de Paz”, del DIF Morelia

• Miles de morelianos disfrutaron de los antojitos, aguinaldos y piñatas Morelia, Michoacán; 14 de d...

Castigo de hasta 30 años de prisión a quien reclute menores para delinquir, pide Margarita Zavala

La diputada Gómez del Campo, del PAN, plantea adicionar el capítulo VI Bis al Código Penal Federal L...

En cateo a un yonke de la colonia Canteras de Morelia, FGE asegura 2 vehículos robados

Al realizar las verificaciones correspondientes, se confirmó que ambas unidades contaban con reporte...

MAS POPULARES

Conoce las causas de la detención de Julio Cesar Chávez Jr. por parte de los EEUU

Revelan las causas de la detención del boxeador Julio César Chávez Jr por parte del ICE en los EEUU...


Identifican al joven ciclista que murió atropellado esta mañana en Morelia

Ángel Alejandro, joven ciclista atropellado en Morelia, es identificado. Su muerte deja un vacío en...


Adriana Fonseca revela detalles de su relación con Fernando Carrillo

Adriana Fonseca comparte detalles de su complicada relación con Fernando Carrillo, marcada por infi...


Pacífica niega responsabilidad en el fallecimiento de Sagid

Pacífica Resort niega responsabilidad en la muerte de Sagid tras una descarga eléctrica en su jacuz...

RECIENTES

Alexis Vega, le da el bicampeonato a Toluca en dramática serie de penales

Alexis Vega asegura el bicampeonato de Toluca al vencer a Tigres 9-8 en una emocionante tanda de pe...


Exitosa Posada Navideña “Noche de Paz”, del DIF Morelia

• Miles de morelianos disfrutaron de los antojitos, aguinaldos y piñatas Morelia, Michoacán; 14 de d...


Vinculan a proceso a Jessica Andrea 'N' por el asesinato de Cuauhtémoc 'L', en Morelia

Los hechos ocurrieron en diciembre de 2024, en el fraccionamiento Villa Magna, de donde la imputada...


En un cateo, FGE asegura narcótico, una moto robada y detiene a 2 personas en la colonia Industrial, en Morelia

En el lugar fueron detenidos Luis Alonso “N”, de 29 años de edad, y Karla Odethe “N”, de 26 años, qu...